Wersja obowiązująca z dnia

Przebudowa schodów terenowych i budowa chodnika w ramach zadania "Przebudowa kładki pieszej od os. Parkowego"

Przedmiotem zamówienia jest:

PBI.7013.85.2018                                                                                          Mrągowo, dnia 03.10.2018r.

ZAPYTANIE OFERTOWE

Przebudowa schodów terenowych i budowa chodnika w ramach zadania „Przebudowa kładki pieszej od os. Parkowego”

Zapytanie ofertowe nie jest objęte przepisami ustawy Prawo zamówień publicznych na podstawie art. 4 pkt. 8 Prawo zamówień publicznych (Dz. U. z 2015r. poz. 2164 t. j.). Treść niniejszego ogłoszenia nie stanowi oferty w rozumieniu art. 66 i 71 Kodeksu Cywilnego (Dz. U. z 2016r. poz. 380 z późn. zm.).

  1. ZAMAWIAJĄCY

Gmina Miasto Mrągowo,

ul. Królewiecka 60A,

11-700 Mrągowo;

NIP: 742-20-76-940

Tel. 89 741 90 00 fax. 89 741 28 74

  1. ADRES DO KORESPONDENCJI WYKONAWCY Z ZAMAWIAJĄCYM

Gmina Miasto Mrągowo – Referat Planowania Przestrzennego

   Budownictwa i Inwestycji – pok. 51

ul. Królewiecka 60A,

11-700 Mrągowo;

NIP: 742-20-76-940

Tel. 89 741 90 27 lub 741 90 18,  fax. 89 741 28 74

email: h.ruczynska@mragowo.um.gov.pl

  1. OPIS PRZEDMIOTU ZAPYTANIA OFERTOWEGO

Przedmiotem zamówienia jest wykonanie przebudowy schodów terenowych prowadzących do kładki dla pieszych od osiedla Parkowego oraz budowa chodnika łączącego osiedle Parkowe                       z kładką dla pieszych w Mrągowie na działkach o nr 3- 15/3, 4-7/2, 4-3/28, 4-3/70 zgodnie z:

  1. Zapytaniem ofertowym stanowiącym Specyfikację Istotnych Warunków Zamówienia,
  2. Projektem budowlanym,
  3. Szczegółową specyfikacją techniczną  wykonania i odbioru robót,
  4. Przedmiarem robót,
  5. Decyzja pozwolenia na budowę ,
  6. Obowiązującymi w tym zakresie warunkami technicznymi wykonania i odbioru robót budowlanych, normami, przepisami itp.

Wyżej wymienione dokumenty należy traktować jako wzajemnie uzupełniające i wzajemnie wyjaśniające. W przypadku powstania niedających się pogodzić niezgodności o charakterze technicznym – podstawą do ostatecznego ustalenia przedmiotu zamówienia oraz wyceny tego przedmiotu – jest przede wszystkim projekt budowlany. W następnej kolejności należy opierać się na projekcie wykonawczym (jeśli został opracowany), specyfikacji technicznej wykonania i odbioru robót, przedmiarze robót. Powyższe dokumenty należy wykorzystywać do wyceny robót w przypadku, gdy dokument nadrzędny nie zawiera wyjaśnień.

Zakres robót do wykonania:

Wykonanie przebudowy schodów terenowych prowadzących do kładki dla pieszych od osiedla Parkowego oraz budowa chodnika łączącego osiedle Parkowe z kładką dla pieszych w Mrągowie:

-

- Przebudowa schodów terenowych- powierzchnia schodów ok. 11,0m2 - rozbiórka istniejących betonowych schodów, budowa nowej nawierzchni z kostki brukowej betonowej gr 6cm na podsypce cementowo-piaskowej gr.4cm na podbudowie z betonu C12/15 gr. 10cm ( spoczniki –podbudowa  kruszywo łamane  KLSM 0/31,5 ), montaż balustrady schodowej mb 17,6- wysokości 110cm,

 

- Budowa chodnika z kostki brukowej betonowej –powierzchnia chodnika ok. 193 m2, konstrukcja nawierzchni chodnika-kostka brukowa gr.6cm, podsypka cementowo-piaskowa 1:4 gr.4cm, podbudowa z KŁSM 0/31,5 gr.10cm, ulepszone podłoże z pospółki gr 10cm, istniejące podłoże gruntowe.

 

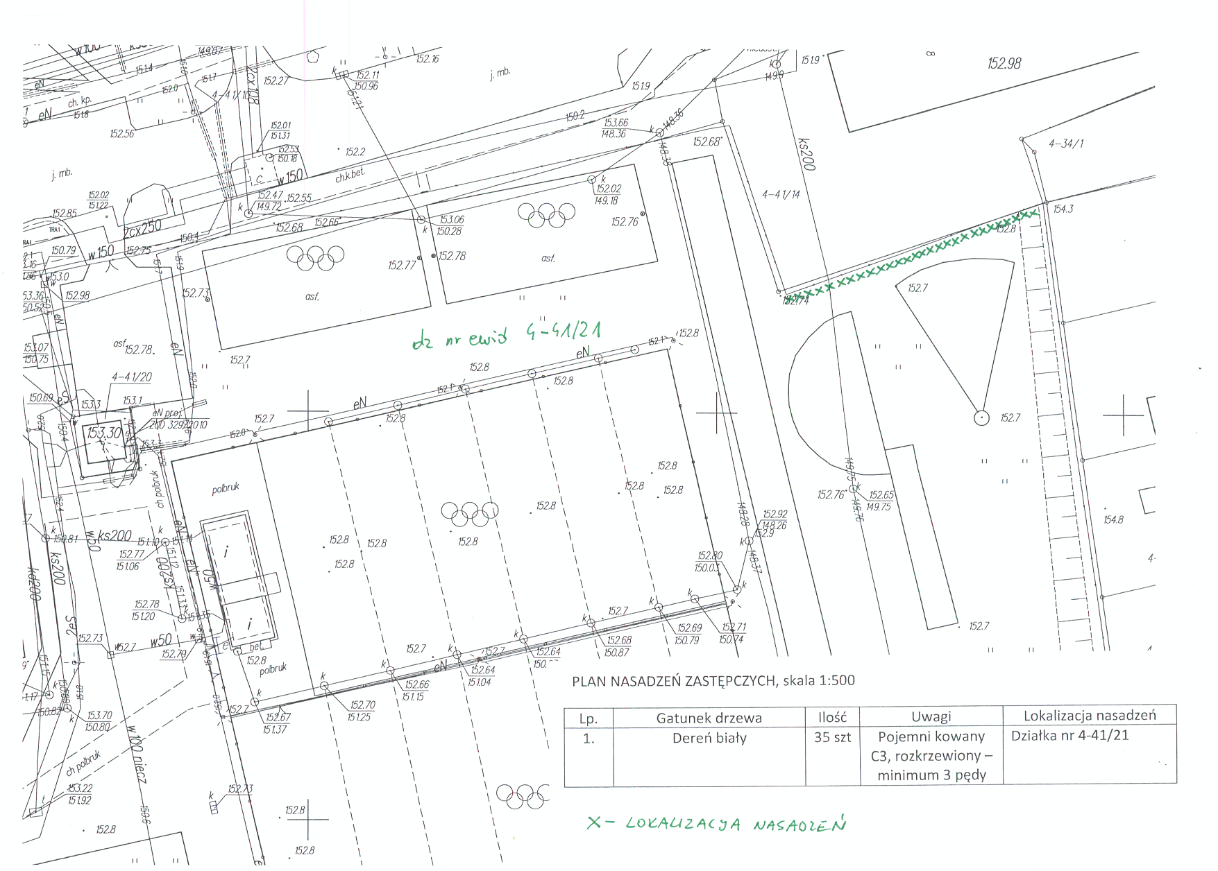
- Wycinka drzew-3szt- Nr 1 obwód na wysokości 130cm 80cm-jesion, Nr 2-obwód na wysokości 130cm 70cm –jesion, Nr 3 –obwód na wysokości 130cm 70cm –klon

 

-Wykonanie nasadzeń zastępczych - 35szt, dereń biały, pojemnikowany C3, rozkrzewiony 3 pędy

 na terenie działki nr 41/21 obręb 4 –lokalizacja nasadzeń wg planu nasadzeń zastępczych.

 

Uwagi:

  1. Wykonawca jest zobowiązany dokonać we własnym zakresie i na własny koszt wizji w terenie oraz dokonać pomiarów i oględzin obiektów niezbędnych do realizacji zadania przed złożeniem oferty cenowej.
  2. Wykonawca zobowiązany jest zapewnić kierownika robót.

 

 

  1. TERMIN WYKONANIA ZAMÓWIENIA

Rozpoczęcie – po podpisaniu umowy

Zakończenie – 30.11.2018r. (zakończenie prac i zgłoszenie do odbioru)

  1. TERMIN ZWIĄZANIA Z OFERTĄ

Wykonawca pozostaje związany z ofertą przez okres 15 dni.

  1. OPIS SPOSOBU PRZYGOTOWANIA OFERTY
  1. Wykonawca może złożyć tylko jedną ofertę.
  2. Treść oferty musi odpowiadać treści specyfikacji zapytania ofertowego.
  3. Zamawiający nie przewiduje zwrotu kosztów udziału w postępowaniu.
  4. Oferta wraz ze stanowiącymi jej integralną część załącznikami musi być sporządzona i podpisana przez Wykonawcę ściśle według postanowień niniejszej specyfikacji zapytania ofertowego.
  5. Oferta musi być sporządzona i podpisana według wzoru na formularzu oferty – załącznik nr 1.
  6. Oferta musi być kompletna i napisana w języku polskim.
  7. Oferta powinna być podpisana przez upoważnionego przedstawiciela wykonawcy (dotyczy również wszystkich załączników do oferty). Upoważnienie do podpisania oferty powinno być dołączone do oferty, o ile nie wynika to z innych dokumentów załączonych przez wykonawcę. Jeżeli do składania oświadczeń woli w imieniu wykonawcy wymagane jest zastosowanie tzw. reprezentacji łącznej, wówczas wszystkie dokumenty powinny być podpisane przez zobowiązane osoby. Proponuje się, aby wszystkie zapisane strony oferty wraz z załącznikami były kolejno parafowane oraz ponumerowane i złączone w sposób trwały.
  8. Wszelkie poprawki lub zmiany w tekście oferty muszą być parafowane przez osobę (osoby) podpisujące ofertę i opatrzone datami ich dokonania.
  9. Podwykonawcy: Wykonawca jest obowiązany wskazać w ofercie część zamówienia, którą zamierza powierzyć podwykonawcom – jeżeli dotyczy. Zamawiający nie określa, które części zamówienia nie mogą być powierzone podwykonawcom.

 

 

 

  1. ZAWARTOŚĆ ZŁOŻONEJ OFERTY PRZEZ WYKONAWCÓW:
    1. Wypełniony formularz oferty – załącznik nr 1.
    2. Pozostałe dokumenty i oświadczenia, o których mowa w specyfikacji zamówienia.

 

  1. MIEJSCE ORAZ TERMIN SKŁADANIA OFERT
  1. Ofertę należy składać drogą korespondencyjną na adres: Gmina Miasto Mrągowo,

11-700 Mrągowo, ul. Królewiecka 60A lub drogą elektroniczną na adres h.ruczynska@mragowo.um.gov.pl do dnia  11 października 2018r  do godz. 1100.

  1. Otwarcie ofert nastąpi w dniu  11 października 2018r o godz. 1110. O wyniku i wyborze najkorzystniejszej oferty, oferenci zostaną powiadomieni telefonicznie.
  2. Oferty złożone po terminie nie będą rozpatrywane.
  3. Oferent może przed upływem terminu składania ofert zmienić lub wycofać swoją ofertę.
  4. W toku badania i oceny ofert Zamawiający może żądać od oferentów wyjaśnień dotyczących treści złożonych ofert.
  1. OPIS SPOSOBU OBLICZENIA CENY
    1. Wykonawca określi cenę oferty brutto, która stanowić będzie wynagrodzenie za realizację całego przedmiotu zamówienia, podając ją w zapisie liczbowym i słownie z dokładnością do grosza (do dwóch miejsc po przecinku).
    2. Cena oferty brutto jest ceną ostateczną obejmującą wszystkie koszty i składniki związane z realizacją zamówienia, zgodnie z dokumentami określonymi w opisie zamówienia, w tym m.in. podatek VAT, upusty, rabaty, oraz:
              1. roboty przygotowawcze, wykończeniowe, porządkowe, zorganizowanie i zagospodarowania placu budowy, przywrócenia terenu do stanu pierwotnego, wywóz nadmiaru gruzu, wymiany podłoża, zagęszczenia gruntu, ewentualnego pompowania wody,
              2. utrzymania zaplecza budowy (naprawy, woda, energia elektryczna, telefon),
              3. dozorowania, zabezpieczenia i oznaczenia terenu budowy,
              4. zajęcia pasa drogowego, placów, chodników,
              5. koszty utrzymania terenu budowy i zapewnienia warunków bezpieczeństwa dla osób i pojazdów użytkujących drogę,
              6. zakwaterowanie łącznie z częścią socjalną i sanitarną,
              7. koszty składowania i utylizacji materiałów rozbiórkowych, odpadów i śmieci,
              8. koszty związane z utrzymaniem terenu budowy w stanie wolnym od przeszkód komunikacyjnych wynikających z lokalizacji terenu budowy,
              9. koszty wynikające z utrudnień lokalizacyjnych placu budowy,
              10. odtworzenie nawierzchni, ewentualne uszkodzenia urządzeń podziemnych w obrębie placu budowy i wykonywanych robót,
              11. wszystkie podatki, cła i inne koszty, które będą opłacane przez Wykonawcę w ramach umowy,
              12. wykonanie ogrodzenia i zabezpieczenia od istniejących obiektów placu budowy,
              13. wykonania projektów organizacji ruchu na czas budowy,
              14. koszty bieżących napraw dróg dojazdowych oraz dróg przez które zostanie wyznaczony objazd
              15. koszty obsługi geodezyjnej, wykonanie geodezyjnego wytyczenia i dokumentacji geodezyjnej,
              16. koszty związane z odbiorami robót wykonanych,
              17. koszty wykonania dokumentacji powykonawczej,
              18. zorganizowanie i przeprowadzenie niezbędnych prób, badań, odbiorów oraz ewentualnego uzupełnienia dokumentacji odbiorczej dla zakresu robót objętych przedmiotem zamówienia,
              19. koszty pomiarów i badań materiałów oraz robót zgodnie z zasadami kontroli, jakości materiałów i robót,

 

  1. OPIS KRYTERIÓW, KTÓRYMI ZAMAWIAJĄCY BĘDZIE SIĘ KIEROWAŁ PRZY WYBORZE OFERTY WRAZ Z PODANIEM ZNACZENIA TYCH KRYTERIÓW ORAZ SPOSOBU OBLICZENIA CENY OFERTY

Kryterium oceny:

  1. cena /brutto/ - za jaką Wykonawca zobowiązuje się zrealizować zamówienie, wyrażona w polskich złotych:
  • waga kryterium – 100 %
  1. UDZIELENIE ZAMÓWIENIA / PODPISANIE UMOWY
  1. Zamawiający udzieli zamówienia Wykonawcy, którego oferta odpowiada wszystkim wymaganiom  określonym w niniejszej specyfikacji zapytania ofertowego i została oceniona, jako najkorzystniejsza w oparciu o podane wyżej kryteria oceny ofert.
  2. Niezwłocznie po wyborze najkorzystniejszej oferty Zamawiający jednocześnie zawiadomi Wykonawców, którzy złożyli oferty, o wyborze najkorzystniejszej oferty, podając nazwę (firmę), albo imię i nazwisko, siedzibę albo adres zamieszkania i adres Wykonawcy, którego ofertę wybrano, uzasadnienie jej wyboru oraz nazwy (firmy), albo imiona i nazwiska, siedziby albo miejsca zamieszkania i adresy Wykonawców, którzy złożyli oferty.
  3. Jeżeli Wykonawca, którego oferta została wybrana, uchyla się od zawarcia umowy, Zamawiający może wybrać ofertę najkorzystniejszą spośród pozostałych ofert bez przeprowadzania ich ponownego badania i oceny, chyba, że zachodzą przesłanki unieważnienia zapytania ofertowego.
  1. INFORMACJE O FORMALNOŚCIACH, JAKIE POWINNY ZOSTAĆ DOPEŁNIONE PO WYBORZE OFERTY W CELU ZAWARCIA UMOWY
  1. O miejscu i terminie podpisania umowy Zamawiający powiadomi wybranego Wykonawcę odrębnym pismem lub telefonicznie.
  2. Zakres świadczenia Wykonawcy wynikający z umowy jest tożsamy z jego zobowiązaniem zawartym w ofercie.
  3. W przypadku wyboru oferty Wykonawców wspólnie ubiegających się o udzielenie zamówienia (konsorcja, spółki cywilne) Zamawiający może zażądać przed zawarciem umowy w sprawie zamówienia publicznego umowy regulującej współpracę tych Wykonawców. Wykonawcy wspólnie ubiegający się o udzielenie zamówienia ponoszą solidarną odpowiedzialność za wykonanie umowy.
  1. DODATKOWE INFORMACJE

Do udzielania wyjaśnień dotyczących zamówienia, ze strony Zamawiającego, upoważnia się pracowników Referatu Planowania Przestrzennego, Budownictwa i Inwestycji: Halina Ruczyńska  tel. (89) 741 90 27 oraz Tomasz Wrzosek tel. (89) 741 90 28.

  1. ZAŁĄCZNIKI DO ZAPROSZENIA
  1. Formularz ofertowy
  2. Oświadczenie wykonawcy
  3. Projekt umowy
  4. Dokumentacja projektowa
  5. Przedmiar robót

 

Opracował:

Halina Ruczyńska

 

Sprawdził:

Grzegorz Woźniak

Załączniki

Treść ogłoszenia

Wynik zamówienia

  • wynik
    format: image/png, rozmiar: 1.27 MB, data dodania: